Добавь сайт в закладки! Инструкция по ссылке.

По данным Mash, среди них 22 сотрудника российского посольства, а также десятки предпринимателей, банкстеров, сотрудников турфирм, учёных и других работников.
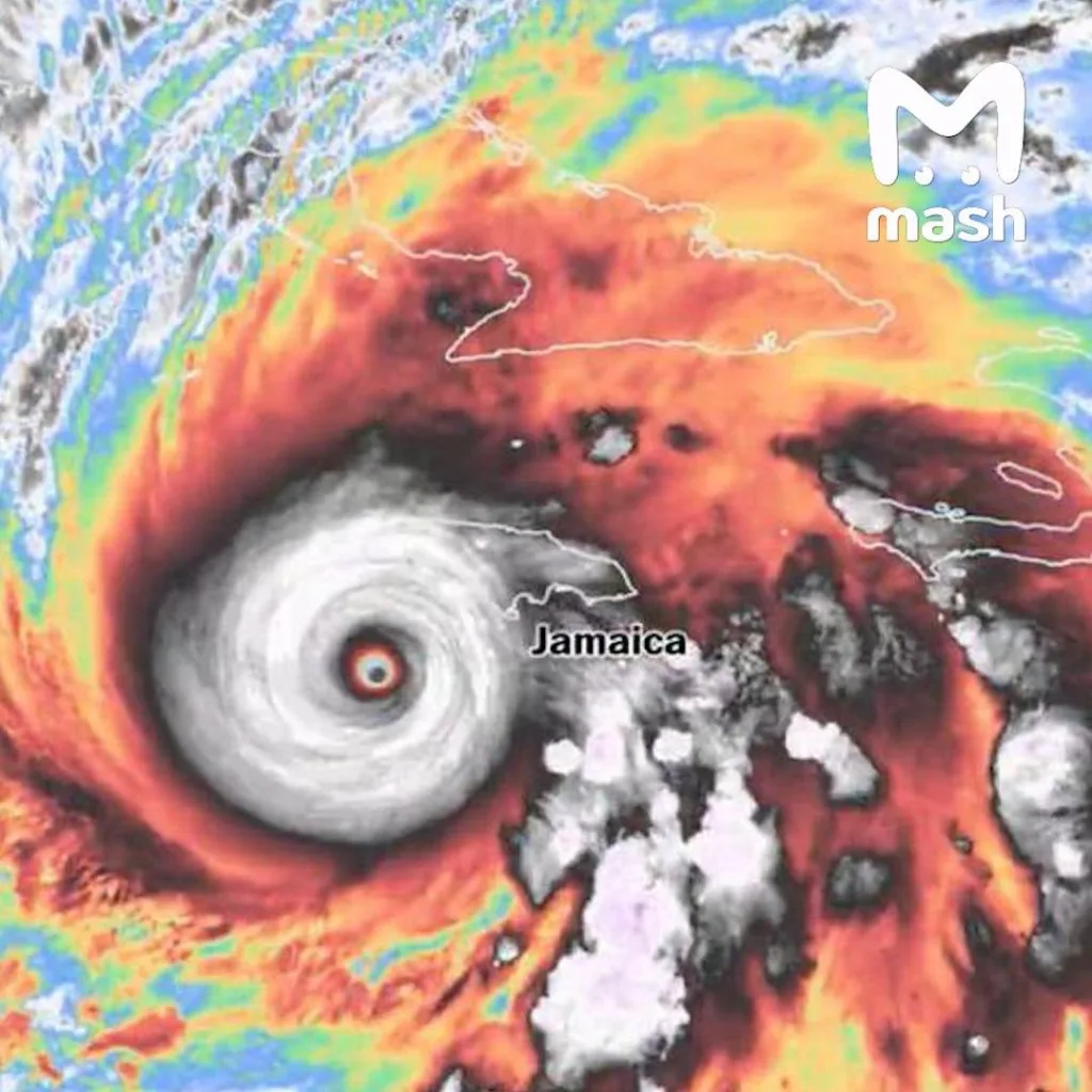
Согласно оценкам Национального центра США, «Мелисса» достиг максимальной пятой категории по шкале Саффира-Симпсона и может стать крупнейшим торнадо за всю историю Ямайки — его скорость достигает 282 км/ч. Сейчас местные власти проводят эвакуацию в примерно 900 убежищ (зачастую это переоборудованные школы, так как спецпомещений на острове мало) по всему государству. Пока что удалось спрятать в безопасное место всего 1,7 тысяч человек из прибрежных районов.
Наших на Ямайке немного, потому что туристический поток из Необъятной небольшой. В среднем туда ежегодно посещает более 4 млн туристов, граждан РФ из них всего около 6 тысяч. МИД России предупреждал о надвигающемся шторме — советовал запастись продуктами и водой, убедиться, что в доме есть всё необходимое, + приготовить документы и деньги для последующей эвакуации.
Согласно прогнозам, ураган следующей ночью пересечёт восточную часть Кубы и к среде пройдёт над Багамскими островами и островами Теркс и Кайкос. До этого он уже прошёлся по Доминикане — отрезал от внешнего мира больше 50 населённых пунктов, повредил не меньше 750 домов. Также погибли три человека.
Поделись видео:








